Todas las informaciones relacionadas al paso del huracán Melissa por Cuba las puede encontrar en el minuto a minuto de Cubavisión Internacional.
Nos puede seguir también en nuestras redes sociales. Estamos en Whatsapp, Facebook, Telegram, Instagram, X y Youtube.
Aquí tiene otras vías oficiales y gratuitas para mantenerse actualizado:
Vía telefónica:
→ 7 866 60 60: Para escuchar la información más reciente del Instituto de Meteorología.
→ 800 73 565: Para sintonizar Radio Reloj. Es de libre costo y no consume minutos de tu plan.
Por Internet:
→ www.insmet.cu: Sitio web oficial del Instituto de Meteorología Cuba. Se puede consultar de forma GRATUITA, incluso sin tener un plan de datos activo.
Por mensaje de Texto:
→ Envía un SMS al 2266 con la palabra HURACAN. Recibirás al instante la ubicación actual del ciclón. ¡Es un servicio libre de costo!
28/10/2025 (21:00) – Actualización sobre el huracán Melissa: Dr. José Rubiera: «Estamos esperando un gigantesco huracán»
Parte meteorológico en texto:
El huracán penetró por la parte occidental de la isla de Jamaica sobre las dos de la tarde. Lo hizo con 295 km/h de vientos máximos sostenidos; un categoría cinco avanzado, con rachas de viento de entre 320 y 330 kilómetros por hora.
Ahora, ¿Qué ocurre? Ocho horas duró su paso por esta zona, la más estrecha de la isla de Jamaica, pero hay montañas y estas fueron rompiendo la circulación en los niveles bajos, lo que hizo debilitarse al huracán. Sin embargo, alrededor de las seis de la tarde salió al mar nuevamente. Había perdido el ojo en las montañas, pero ya se ve su renacer.
Actualmente es categoría tres, pero tiene alrededor de 180 km para recorrer durante las próximas ocho horas, y ahí la temperatura del agua está en 31 grados Celsius. Por lo tanto, hay una energía tremenda y debe ir ganando fuerza nuevamente. No sería de extrañar que cuando llegue a la parte oriental de Cuba, a la costa sur de las provincias orientales, llegue como categoría cuatro.
Está a unos 125 kilómetros directamente al sur de Pilón, en la provincia de Granma, y a doscientos kilómetros al suroeste de la ciudad de Santiago de Cuba. Los vientos máximos sostenidos que tiene ahora son de 205 km/h. Las rachas pueden estar alrededor de los 250.
La presión ha subido porque, como se debilitó, había alcanzado los 921 hPa poco antes de salir, pero se debilitó hasta los 950. Ahora va a seguir bajando la presión seguramente si se da ese proceso de reactivación. Su movimiento es norte-nordeste a trece kilómetros por hora, y se espera que en las próximas horas incremente esa velocidad de traslación gradualmente.
El huracán se está recuperando mientras se aproxima a la costa sur oriental de nuestro país. Las proyecciones para las próximas horas indican que un punto de entrada a tierra será en el municipio III Frente, de la provincia Santiago de Cuba, quizás cercano a Chivirico. Pero esto puede variar, puesto que pueden existir algunos movimientos pequeños que se traducen después en unos cuantos kilómetros al oeste de la ciudad de Santiago de Cuba, y se prevé que realice su movimiento sobre Cuba en alrededor de ocho horas.
Quiere decir que mañana por la mañana estará saliendo por la costa norte, y estamos previendo un punto de salida alrededor de Punta Lucrecia, en el municipio Banes de la provincia de Holguín. En todas esas horas que va a estar en el territorio del oriente del país, su paso será de madrugada.
La trayectoria de los vientos huracanados, pueden ser de categoría cuatro, disminuyendo después a medida que cruza el territorio montañoso de la parte oriental del país.
Los vientos de tormenta tropical fuerte, serían entre 65 y 119 kilómetros por hora. En tanto, los de tormenta tropical débil, serían de 65 a 80 km/h.
La lluvia es otro de los factores más importantes por su potencial dañino. Se están pronosticando acumulados en toda esta zona de entre 250 y 400 milímetros.
En otras zonas habrá lluvias también entre 100 y 200 milímetros. Todo esto en zonas montañosas, en lugares donde ya ha llovido, y por lo tanto la lluvia es un factor muy pernicioso. Hay que tener en cuenta que no se puede estar al lado de ríos, riachuelos, cañadas o zonas bajas, bien sea en la ciudad o en el campo.
La costa sur tendrá alturas de olas de cuatro a seis metros, y después, en la madrugada, hasta ocho metros de altura con la marejada ciclónica, que es una pared de agua que avanza sobre la tierra, y cualquier cosa que esté ahí puede ser muy peligroso porque la puede derrumbar. Por lo tanto, no se puede estar tampoco cerca de la costa en una situación como esta.
Esta es la situación general que tenemos en este momento. Lo más importante es la vida humana; por lo tanto, hay que protegerla, cumpliendo con las orientaciones de la Defensa Civil.
Nuevamente estaremos aquí, en el Centro Nacional de Pronóstico del Instituto de Meteorología, para sobre las 11-11:15 de la noche, salir nuevamente con las últimas informaciones que tenemos para ustedes sobre el huracán Melissa, una amenaza que tenemos ciertamente para la parte oriental de nuestro país.
Parte meteorológico en Youtube:
28/10/2025 (21:00) – Melissa se dirige hacia la costa sur de la región oriental
Aviso de Ciclón Tropical
Fecha: 28 de octubre de 2025
El huracán Melissa sigue alejándose de la costa norte de Jamaica, luego de sufrir un ligero debilitamiento en su intensidad. Ahora sus vientos máximos son de 205 kilómetros por hora, con rachas superiores y su presión central ascendió hasta 950 hectoPascal. Continúa siendo un huracán de gran intensidad, ahora categoría tres en la escala Saffir-Simpson, de un máximo de cinco.
A las nueve de la noche de hoy, el centro del huracán Melissa se estimó en los 18.9 grados de latitud Norte y los 77.1 grados de longitud Oeste, posición que lo sitúa a unos 120 kilómetros al sur de Pilón, Granma y a 185 kilómetros al suroeste de la ciudad de Santiago de Cuba. Melissa continúa moviéndose al norte-nordeste con una velocidad de traslación de 13 kilómetros por hora.
En las próximas 12 a 24 horas se espera que el huracán Melissa comience a moverse con una trayectoria más hacia el nordeste, aumentando gradualmente su velocidad de traslación. Melissa se aproximará a la costa sur de las provincias de Granma y Santiago de Cuba esta noche, penetrando al territorio nacional por el municipio de Guamá, perteneciente a la provincia de Santiago de Cuba en la madrugada del miércoles. Aunque este sistema experimentará fluctuaciones en su intensidad, se mantendrá como un huracán de gran intensidad a su paso por Cuba.
Las bandas externas de este huracán están afectando la región oriental de Cuba desde esta tarde con chubascos y lluvias, las que han llegado a ser fuertes en algunas localidades, registrándose un acumulado de 73.0 milímetros en la estación meteorológica de Contramaestre, Santiago de Cuba. Estas precipitaciones se incrementarán gradualmente con la cercanía y el paso de Melissa, las que serán fuertes e intensas en algunas localidades, principalmente en zonas montañosas, con acumulados entre 200 y 450 milímetros.
Los vientos en la región oriental alcanzarán fuerza de tormenta tropical durante la noche, con velocidades entre 70 y 119 kilómetros por hora, con rachas superiores. Se ha reportado hasta el momento una racha de viento de 82 kilómetros por hora en la estación meteorológica de cabo Cruz, provincia Granma. Los vientos huracanados comenzarán a sentirse en el sur de la región oriental desde la madrugada. Se mantendrán las fuertes marejadas con olas entre 4,0 y 6,0 metros en los mares al sur de las provincias de Granma, Santiago de Cuba y Guantánamo, las que se incrementarán a alturas de hasta 8 metros en la madrugada del miércoles, con inundaciones de moderadas a fuertes en zonas bajas de este litoral.
El Centro de Pronósticos del Instituto de Meteorología mantiene una estrecha vigilancia sobre la evolución y futura trayectoria de este huracán de gran intensidad.
El próximo aviso de ciclón tropical se emitirá a las doce de la noche.
28/10/2025 (20:22) – Melissa debe de azotar como huracán intenso al oriente de Cuba
28/10/2025 (20:00) – Fueron desconectadas del Sistema Eléctrico Nacional las provincias Granma, Santiago de Cuba y Guantánamo
Ya fueron desconectadas del Sistema Eléctrico Nacional las provincias Granma, Santiago de Cuba y Guantánamo. También se sacaron de servicio las unidades de Renté y los motores Fuel de Moa.
Tomado del perfil de Facebook de Lázaro Manuel Alonso.
28/10/2025 (18:50) – Huracán Melissa rumbo a Cuba con gran intensidad
El huracán Melissa causó cuantiosos daños en Jamaica tras su paso este 28 de octubre. Ahora avanza rumbo a la región oriental de #Cuba como un sistema de gran intensidad. Para conocer más detalles el periodista Roberto García Del Corral nos pone en contexto.
Véalo en nuestro canal de YouTube:
28/10/2025 (18:45) – Melissa abandona el territorio de Jamaica
Aviso de Ciclón Tropical
Fecha: 28 de octubre de 2025
Durante las últimas horas, el huracán Melissa ha transitado sobre la isla de Jamaica y su interacción con tierra ha provocado un ligero debilitamiento en su intensidad. Sus vientos máximos ahora son de 230 kilómetros por hora, con rachas superiores y su presión central aumentó hasta 921 hectoPascal. Continúa siendo un huracán de gran intensidad, pero ahora categoría cuatro en la escala Saffir-Simpson.
A las seis de la tarde de hoy, el centro del huracán Melissa se estimó en los 18.6 grados de latitud Norte y los 77.7 grados de longitud Oeste, posición que lo sitúa a unos 150 kilómetros al sur-suroeste de Pilón, Granma y a 250 kilómetros al suroeste de la ciudad de Santiago de Cuba. Melissa continúa moviéndose al norte-nordeste con una velocidad de traslación de 13 kilómetros por hora.
En las próximas 12 a 24 horas se espera que el huracán Melissa incline su trayectoria más hacia el nordeste, aumentando gradualmente su velocidad de traslación. Melissa se irá aproximando a la costa sur de la región oriental de Cuba esta noche, penetrando al territorio por algún punto de la costa sur entre Granma y Santiago de Cuba. El huracán Melissa experimentará fluctuaciones en su intensidad, no obstante, se mantendrá como un huracán de gran intensidad a su paso por Cuba.

Las bandas externas de este huracán están afectando la región oriental de Cuba con chubascos y lluvias, incrementándose gradualmente con la cercanía y paso de Melissa. Estas precipitaciones serán fuertes e intensas en algunas localidades, principalmente en zonas montañosas, con acumulados entre 200 y 450 milímetros. Los vientos se incrementarán en la región oriental a fuerza de tormenta tropical desde las primeras horas de la noche, con velocidades entre 70 y 95 kilómetros por hora, con rachas superiores. Se mantendrán las fuertes marejadas con olas entre 4,0 y 6,0 metros en los mares al sur de las provincias de Granma, Santiago de Cuba y Guantánamo, las que se incrementarán a alturas de hasta 8 metros en la madrugada del miércoles, con inundaciones de moderadas a fuertes en zonas bajas de este litoral.
El Centro de Pronósticos del Instituto de Meteorología mantiene una estrecha vigilancia sobre la evolución y futura trayectoria de este huracán de gran intensidad.
El próximo aviso de ciclón tropical se emitirá a las nueve de la noche de hoy martes.
Información: Centro de Pronósticos, INSMET.
28/10/2025 (18:11) – Melissa se está moviendo hacia el norte-noreste cerca de 8 mph (13 km/h)
El centro del Huracán Melissa se localizó cerca de la latitud 18.5 Norte, longitud 77.7 Oeste.

Melissa se está moviendo hacia el norte-noreste cerca de 8 mph (13 km/h). Se espera un giro hacia el noreste con un aumento en la velocidad de avance esta noche, seguido de un movimiento más rápido hacia el noreste el miércoles y jueves. En la trayectoria del pronóstico, el núcleo de Melissa se moverá lejos del oeste de Jamaica esta noche.
Después de eso, se espera que el centro se mueva sobre el sureste de Cuba a última hora de esta noche y primera hora del miércoles por la mañana, se mueva a través del sureste o centro de las Bahamas a última hora del miércoles, y se acerque a las Bermudas el jueves y jueves por la noche.
Los vientos máximos sostenidos están cerca de 145 mph (230 km/h) con ráfagas más altas. Melissa es un huracán de categoría 4 en la Escalade Viento de Huracanes Saffir-Simpson. Se espera que Melissa alcance el sureste de Cuba como un huracán mayor extremadamente peligroso, y todavía podría ser un huracán mayor cuando se mueva a través del sureste de las Bahamas. El avión Cazahuracán de la NOAA y la Reserva de la Fuerza Aérea estará investigando Melissa esta noche.
Los vientos con fuerza de huracán se extienden hacia fuera hasta 30 millas (45 km) desde el centro y los vientos con fuerza de tormenta tropical se extienden hacia fuera hasta 195 millas (315 km). La presión central mínima estimada es de 921 mb (27.20 pulgadas).
Tomado del Centro Nacional de Huracanes de Estados Unidos.
28/10/2025 (17:48) – Ultiman acciones de reducciones de riesgos y vulnerabilidades en Santiago de Cuba

28/10/2025 (17:32) –Devastación en Jamaica por Melissa
El ciclón aún azota la isla y ya salen las primeras imágenes de la catástrofe.
Tomado del perfil de Facebook de Lázaro Manuel Alonso.
28/10/2025 (16:48) – Emergencia en Jamaica: se reportan inundaciones catastróficas en este momento
Tomado de Boletín del Tiempo.
28/10/2025 (16:42) – Huracán Melissa golpea a Jamaica con furia
Video tomado de las redes sociales.
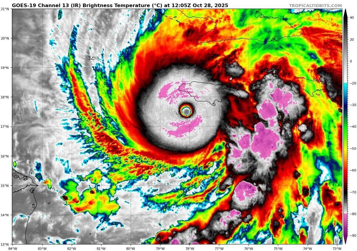
28/10/2025 (16:35) – Imagen del huracán Melissa a través de un mapa infrarrojo

Tomado del INSMET.
28/10/2025 (16:24) – El centro de Melissa casi abandona Jamaica
El centro de Melissa casi abandona Jamaica. Atravesó la isla por su porción más estrecha. Los vientos disminuyeron de 295 a 260 km/h, por lo que sigue siendo un categoría 5 muy poderoso. 🌪️Lo más preocupante es que vuelve al mar en unos minutos y eso podría intensificarlo. Una vez el ciclón abandone por completo Jamaica podrá definirse un lugar más exacto de impacto en tierra cubana.
Los expertos opinan que podría ser en un punto entre las provincias de Granma y Santiago de Cuba. Advierten que progresivamente se incrementarán las lluvias, vientos y marejadas desde Camagüey hasta Guantánamo.
Tomado del perfil de Facebook de Lázaro Manuel Alonso.
28/10/2025 (16:03) – Imágenes en Jamaica durante el paso del huracán Melissa
El huracán Melissa tocó tierra en Jamaica como la tormenta más poderosa en casi 2 siglos
28/10/2025 (15:17) – Mensaje de Israel Rojas ante el inminente paso del evento meteorológico
El reconocido cantautor y director del grupo Buena Fe envió un mensaje al pueblo cubano ante el inminente paso del evento meteorológico de gran intensidad por el oriente de Cuba.
Tomado del Ministerio de Cultura de Cuba.
28/10/2025 (15:00) – Melissa cruzando el oeste de Jamaica: Baja intensidad, pero se fortalecerá
Tomado de Cubadebate.
28/10/2025 (14:51) – Imágenes desgarradoras siguen llegando desde las zonas afectadas de Jamaica
Imágenes desgarradoras siguen llegando desde las zonas afectadas. Casas, hospitales y estructuras enteras están siendo arrasadas por vientos superiores a 200 mph en #Jamaica
Tomado de Boletín del Tiempo.
28/10/2025 (14:40) – Santiago de Cuba se prepara para la llegada del huracán Melissa
Integrantes del Consejo de Defensa Provincial recorren los municipios Tercer Frente, Contramaestre, Palma Soriano, Mella y San Luis, en seguimiento directo a la evolución del huracán Melissa y las acciones de protección a la población.
28/10/2025 (14:12) – Melissa toca tierra en Jamaica como la tormenta más poderosa en casi dos siglos de registros
El huracán Melissa al tocar tierra en Jamaica como la tormenta más poderosa en casi 2 siglos de registros. Las autoridades esperan daños catastróficos.
28/10/2025 (13:55) – Declaraciones del Presidente del Consejo de Defensa Nacional, Miguel Díaz-Canel Bermúdez ante el inminente paso del huracán Melissa
«Una vez más, contamos con la unidad de nuestro pueblo, con la experiencia en estos años de Revolución para enfrentar situaciones como estas, y con el heroísmo y la resistencia del pueblo cubano. Juntos vamos a vencer.»
28/10/2025 (13:51) – La población vulnerable del municipio Guamá está al resguardo
En el costero y montañoso Guamá, el municipio más largo del país y vulnerable por las crecidas de ríos e inundaciones costeras, han sido protegidas 27 432 personas en casas de vecinos, familiares y centros de protección -que suman la mayor parte de sus aproximadamente 34 000 habitantes-, de acuerdo con el Consejo de Defensa de este territorio santiaguero.
Tanto de Chivirico, su localidad cabecera, como de las de Uvero, Cañizo, Caletón 2, Juan González, ente otras, procede la mayor cantidad de protegidos dado el alto peligro que implican las penetraciones del mar y las crecidas, en una demarcación surcada de norte a sur por 22 arroyos y 32 ríos.
Trascendió, además, que brigadas médico-quirúrgicas están desplegadas tanto en Guamá como en el también montañoso Tercer Frente para responder de inmediato ante cualquier emergencia, y que pobladores de la provincia indómita han donado sangre de manera voluntaria, fortaleciendo las reservas.
Es menester acotar que las brigadas clínicas certificadas asisten a las personas evacuadas y a quienes necesiten apoyo médico o psicológico, informó Beatriz Johnson Urrutia, presidenta del Consejo de Defensa Provincial.
28/10/2025 (13:22) – Evacúan a personas de comunidades rurales de Bayamo
Ante la proximidad del huracán Melissa al territorio granmense, el Instituto Politécnico General Luis Ángel Milanés recibe evacuados de comunidades rurales de Bayamo y abuelos del Hogar de Ancianos Lidia Doce.
Ledis Naranjo Garcés, directora de esta institución educativa, explicó los aseguramientos para la atención a los evacuados en el centro, con una capacidad de 350 personas. Detalló que se han establecido cuatro brigadas formadas por 14 trabajadores para el cuidado de las personas y la preservación de los recursos materiales de la escuela.
Por su parte, la doctora Annia Ocaña ofreció los pormenores de la atención sanitaria a las gestantes y niños, mediante equipos de salud integrados por Médicos Generales Integrales y especialistas de Ginecología y Pediatría.
28/10/2025 (13:05) – Melissa llegó a Jamaica como un huracán devastador categoría 5
Tomado del perfil en Facebook del periodista Lázaro Manuel Alonso.
28/10/2025 (13:00) – Respuesta al Huracán Melissa y control sanitario en Ciego de Ávila
La posibilidad de evacuación de unos 32 000 avileños, la mayoría en casas de familia; la protección de mercancía y recursos en los almacenes, el traslado de más de 10 000 cabezas de ganado a lugares seguros y el resguardo de las embarcaciones en los refugios se figuran entre las principales medidas puestas en práctica por el Consejo de Defensa de la provincia, en alerta ciclónica, fase decretada por el Estado Mayor de la Defensa Civil.
De igual manera, se encuentran activados los consejos de Defensa y las Zonas en los municipios, 47 centros de evacuación, con la garantía de recursos alimenticios, los servicios médicos y con los respectivos grupos electrógenos de emergencia.
Según explicó Alfre Menéndez Pérez, vicepresidente del Consejo de Defensa Provincial y gobernador del territorio, la estrategia se centra, en primera estancia, en la protección de las personas mediante el uso racional de los recursos disponibles.
En respuesta a la compleja situación epidemiológica, con la aparición de nuevos brotes de dengues y otras arbovirosis, las autoridades en Ciego de Ávila implementan una serie de medidas que van desde las restricciones de movilidad hasta el reforzamiento de los servicios de salud.
28/10/2025 (12:00) – Melissa penetrando por el sur de Jamaica
Aviso de Ciclón Tropical
Fecha: 28 de octubre de 2025. Hora: 12:00 m.

El huracán Melissa durante las últimas horas ha ganado más en intensidad, pues sus vientos máximos sostenidos han aumentado hasta 295 kilómetros por hora, con rachas superiores y su presión central descendió hasta 892 hectoPascal. Por lo que se mantiene como un peligroso huracán de gran intensidad, categoría cinco en la escala Saffir-Simpson.
Al mediodía de hoy el centro del huracán Melissa se observó penetrando por la costa sur de Jamaica. Su región central se localizó en los 18.0 grados de latitud Norte y los 78.0 grados de longitud Oeste, posición que lo sitúa a unos 50 kilómetros al sur de Montego Bay, Jamaica, a 205 kilómetros al sur de Cabo Cruz, Granma y a 320 kilómetros al suroeste de la ciudad de Santiago de Cuba. Melissa continúa moviéndose al norte-nordeste y ha incrementado ligeramente su velocidad de traslación a 15 kilómetros por hora.
En las próximas 24 horas se espera que el huracán Melissa incline su trayectoria más hacia el nordeste, aumentando gradualmente su velocidad de traslación. Durante la tarde – noche de hoy Melissa se irá aproximando a la costa sur de la región oriental de Cuba. El huracán Melissa experimentará fluctuaciones en su intensidad, no obstante, se mantendrá como un huracán de gran intensidad a su paso por Cuba.
Las bandas externas de este huracán ya afectan la región oriental de Cuba, generando chubascos y lluvias, que llegarán a ser numerosas desde la tarde desde Camagüey hasta Guantánamo. Las precipitaciones serán fuertes e intensas en algunas localidades, principalmente en zonas montañosas, con acumulados entre 200 y 450 milímetros en las próximas 24 horas. Los vientos serán del nordeste al este en gran parte del país, con velocidades en la tarde entre 35 y 50 kilómetros por hora en las provincias orientales, con rachas superiores, que se incrementarán a fuerza de tormenta tropical desde las primeras horas de la noche. Se mantendrán las fuertes marejadas con olas entre 2,5 a 4,0 metros en los mares al sur de las provincias de Granma, Santiago de Cuba y Guantánamo durante la tarde, las que se incrementarán a alturas entre 4,0 y 6,0 metros a partir de las primeras horas de la noche de hoy, con inundaciones de moderadas a fuertes en zonas bajas de este litoral.
El Centro de Pronósticos del Instituto de Meteorología mantiene una estrecha vigilancia sobre la evolución y futura trayectoria de este huracán de gran intensidad.
El próximo aviso de ciclón tropical se emitirá a las seis de la tarde hoy martes.
28/10/2025 (11:42) – Aeropuerto Internacional Frank País García de Holguín informa sobre las acciones preventivas ante el paso de Melissa
En cumplimiento del Plan de Contingencia, activado en fase de Alerta Temprana, se han realizado las siguientes acciones:

28/10/2025 (11:26) – Acciones para prevenir el impacto de Melissa en Santiago de Cuba

28/10/2025 (10:40) – Adopta norte de Camagüey medidas ante amenaza de Melissa
Con la premisa de preservar la vida de las personas y los recursos de la economía, Camagüey desplegó medidas organizativas y de protección para enfrentar con la mayor disciplina y organización el embate del organismo tropical, sobre todo en sus costas norte y sur.

En el polo turístico de Santa Lucía se realizó la protección de turistas internacionales y nacionales. Además, evacuaron comunidades como Punta de Ganado y Santa Rita, este último en la cabecera municipal de Nuevitas, con alto riesgo por penetraciones del mar.
En la Salina Real, una de las más grandes del país y que garantiza la sal del centro del país, se protegieron 350 toneladas del producto terminado.
Hasta el litoral norte de Camagüey, llegaron Walter Simón Noris y Jorge Enrique Sutil Sarabia presidente y el vicepresidente del Consejo de Defensa Provincial, respectivamente. Sobre el terreno indagaron sobre las garantías para el suministro de leche a los niños de la zona, aun en caso de quedar incomunicados, y verificaron las reservas de leña para asegurar la producción de pan para la población ante posibles interrupciones del fluido eléctrico.
En la inversión de la Fábrica de Cemento «26 de Julio», también se tomaron medidas en la protección de recursos y se trabajó en la sujeción de las grúas de gran altura para que resistan el embate del ciclón.
Por su parte la Central Termoeléctrica «10 de Octubre» mantendrá, mientras las condiciones del tiempo lo permitan, el bloque 5 en línea. Simultáneamente, la unidad 6 debe quedar lista para su arranque en las próximas horas, tras culminar su mantenimiento.
28/10/2025 (10:10) – Melissa continúa intensificándose sobre Jamaica con vientos cercanos a los 300 km/h
El huracán Melissa continua intensificándose, un avión de reconocimiento encontró que sus vientos se han incrementado hasta 295 km/h y su presión ha descendido hasta 892 hPa.

Melissa ya es el sexto ciclón tropical más intenso del oceáno Atlántico, mar Caribe y golfo de México, por sus vientos y el tercer valor de presión más bajo.
Fuente: Instituto de Meteorología de Cuba
28/10/2025 (10:00) – Unión Eléctrica informa sobre desconexión controlada en región oriental de Cuba
La Unión Eléctrica (UNE) informa que en las zonas donde los vientos alcancen los 60 km/h se realizará la desconexión de los circuitos vinculados.
Además, se realizará la desconexión de las centrales termoeléctricas Antonio Maceo «Renté», Lidio Ramón Pérez «Felton» y la Central Fuel de Moa, por su ubicación geográfica. Este proceso se estará haciendo de forma controlada para mantener la integridad de la operación del Sistema Electroenergético Nacional en la Zona Centro-Oriental.
28/10/2025 (09:20) – Presidente cubano destaca en red social X importancia de estas jornadas para el país
El presidente de Cuba, Miguel Díaz-Canel Bermúdez, destacó este 28 de octubre, en su perfil oficial de la red social X, los esfuerzos en la preparación que se concretan en la región oriental del país para enfrentar al huracán Melissa.
Además, hizo referencia a la discusión y votación del proyecto de resolución de la Asamblea General de la ONU, que llama a poner fin al bloqueo de Estados Unidos contra Cuba, política que catalogó como «otro huracán que enfrentamos hace seis décadas».
Hoy #Cuba centra sus esfuerzos en la preparación de las provincias orientales para enfrentar al peligroso huracán #Melissa y la Asamblea General de Naciones Unidas debate la resolución para poner fin al #Bloqueo, otro huracán que enfrentamos hace 6 décadas. #TumbaElBloqueo pic.twitter.com/Qjq5KkNEgX
— Miguel Díaz-Canel Bermúdez (@DiazCanelB) October 28, 2025
28/10/2025 (08:50) – Huracán Melissa registra datos históricos de presión y vientos
Según el meteorólogo Elier Pila, el huracán Melissa ha mantenido por varias horas una intensidad pico de 280 km/h, con un descenso en su presión hasta 901 hPa, lo que lo ubica como el octavo más intenso por el valor de presión más bajo.
Además un avión cazahuracanes de la NOAA registró una ráfaga jamás vista de 387 km/h dentro del huracán Melissa. Una hazaña que marca historia en la meteorología moderna.

28/10/2025 (07:50) – Melissa se acerca al extremo oeste de Jamaica
Aviso de Ciclón Tropical
Fecha: 28 de octubre de 2025
El huracán Melissa durante las últimas horas se ha mantenido con poco cambio en su intensidad. Sus vientos máximos sostenidos continúan siendo de 280 kilómetros por hora, con rachas superiores y su presión central descendió hasta 901 hectoPascal, por lo que se mantiene como un huracán de gran intensidad, categoría cinco en la escala Saffir-Simpson.
A las seis de la mañana de hoy el ojo del huracán Melissa fue estimado en los 17.3 grados de latitud Norte y los 78.3 grados de longitud Oeste, posición que lo sitúa a unos 170 kilómetros al oeste-suroeste de Kingston, Jamaica, a 285 kilómetros al sur-suroeste de Cabo Cruz, Granma y a 400 kilómetros al suroeste de la ciudad de Santiago de Cuba. Melissa continúa moviéndose al norte-nordeste y ha incrementado ligeramente su velocidad de traslación a siete kilómetros por hora.

En las próximas 24 horas se espera que el huracán incline su trayectoria gradualmente hacia el nordeste, aumentando su velocidad de traslación. Según la trayectoria pronosticada, se espera que el ojo de Melissa se adentre en Jamaica durante la mañana de hoy, aproximándose a la costa sur de la región oriental de Cuba durante la noche de hoy y en la madrugada del miércoles. Durante su trayectoria el huracán Melissa experimentará fluctuaciones en su intensidad, no obstante, se mantendrá como un huracán de gran intensidad a su paso por Jamaica y Cuba.
Las bandas externas de este huracán continuarán incrementando los nublados y las precipitaciones durante el día de hoy en la región oriental de Cuba, las que pueden llegar a ser fuertes e intensas en algunas localidades, principalmente en zonas montañosas. Los vientos serán del nordeste al este en gran parte del país, con velocidades en la tarde entre 35 y 50 kilómetros por hora en las provincias orientales, con rachas superiores, que se incrementarán a fuerza de tormenta tropical en la noche. Se mantendrán las fuertes marejadas con olas entre 2,5 a 4,0 metros en los mares al sur de las provincias de Granma, Santiago de Cuba y Guantánamo con inundaciones moderadas en zonas bajas de este litoral.
El Centro de Pronósticos del Instituto de Meteorología mantiene una estrecha vigilancia sobre la evolución y futura trayectoria de este huracán de gran intensidad.
El próximo aviso de ciclón tropical se emitirá al mediodía de hoy martes.
Información: Centro de Pronósticos, INSMET.
Buena explicación a la población